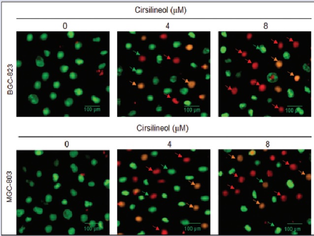
Apoptosis-mediated inhibition of human gastric cancer cell proliferation by cirsilineol
Cite This Article
Vancouver Style
. Apoptosis-mediated inhibition of human gastric cancer cell proliferation by cirsilineol. Pharmacognosy Magazine [Internet]. 2022;18(79):565-570. http://www.phcog.com/text.asp?2022/18/79/565/356412